Усім рослинам для фотосинтезу потрібне сонячне світло, але деяким потрібно менше світла, ніж іншим. Незалежно від того, чи хочете ви розбити домашній город або посадити їстівні рослини в тінистому куточку вашого саду, зверніть увагу на ці трави, які можуть рости в тіні.
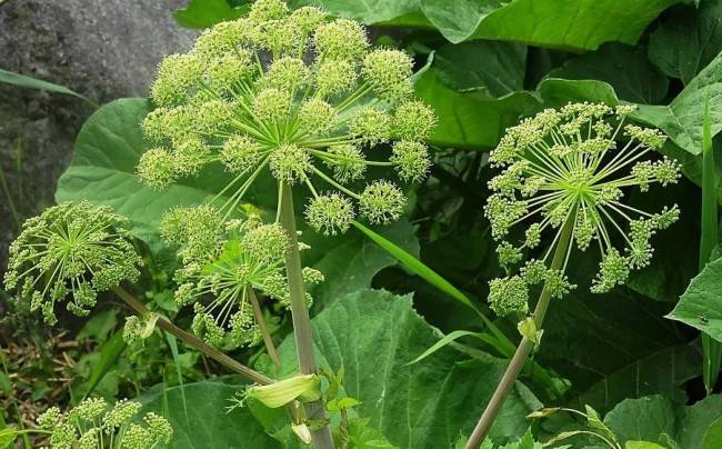
Дудник (Angelica)

Це рід рослин із великими суцвіттями білих квітів. Їхні стебла, листя, насіння і квіти їстівні. Дудник найкраще росте в плямистій тіні і погано переносить спеку.
Аніс (Pimpinella anisum)
Аніс, рослина з листям, схожим на листя папороті, має сильний смак чорної лакриці, тому його часто додають у напої та десерти. Аніс добре росте навіть на бідному ґрунті за слабкого освітлення, але він дуже чутливий до вітру і потребує захисту.
Бергамот (Monarda fistulosa)
Бергамот, який часто називають бджолиним бальзамом, за смаком нагадує орегано і, як відомо, привертає в сад бджіл, а також колібрі та метеликів. Він названий на честь плодів бергамота, які мають схожий аромат. Бергамот – дуже витривала і посухостійка рослина, яка добре росте на бідних ґрунтах і, хоча віддає перевагу сонячним місцям, може рости і в півтіні.
Кервель (Anthriscus cerefolium)
Кервель зовні дуже схожий на петрушку, але у нього дуже м’який смак лакриці, і його часто використовують як приправу у французькій кухні. При вирощуванні кервеля вибирайте місце в півтіні або на сонці. Якщо його не обрізати, він може витягнутися.
Шніт-цибуля (Allium schoenoprasum)
Шніт-цибуля – це квітуча рослина з м’яким цибулевим смаком, яка наприкінці весни покривається квітками лавандового кольору. Вона належить до того ж роду, що й часник з цибулею-пореєм, і часто використовується як гарнір. Шніт-цибуля добре росте на ґрунтах низької якості, не потребує особливого догляду і може рости як на сонці, так і в півтіні.
Кінза (Coriandrum sativum)
Також відома як коріандр, кінза – це пряність, яка широко використовується в кулінарії завдяки своєму насиченому трав’янистому смаку й аромату. Кінза в’яне під прямими сонячними променями і віддає перевагу вологому ґрунту.
Меліса лікарська (Melissa officinalis)
Меліса – це рослина з родини ясноткових, відома своїм сильним лимонним ароматом. У неї терпкий смак, що робить її чудовим доповненням до салатів і трав’яних чаїв. Меліса добре росте в тіні, але може витягнутися, якщо її часто не підрізати.

Любисток (Levisticum officinale)
Любисток зовні і за смаком схожий на селеру. За сприятливих умов він може вирости до двох метрів у висоту. Листя, коріння і насіння любистку використовують у кулінарії. Любисток найкраще росте на сонці, але може переносити і півтінь. Він віддає перевагу вологому ґрунту.
М’ята (Mentha)
Назву м’ята використовують для позначення безлічі різних видів, серед яких найбільш впізнавана перцева м’ята. М’яту часто використовують як ароматизатор для напоїв або десертів. Вирощуйте м’яту у вологому і родючому ґрунті і пам’ятайте, що вона дуже швидко пошириться по вашому саду. М’ята добре росте на сонці, але може рости і в півтіні.
Материнка звичайна (Origanum vulgare)
Материнка – це деревна квітуча рослина сімейства ясноткових. Вона надає терпкого смаку італійським і грецьким стравам. Материнка віддає перевагу добре дренованому ґрунту і може рости в півтіні.
Петрушка (Petroselinum crispum)
Петрушка – це квітуча рослина, зовні дуже схожа на кінзу. Вона належить до сімейства зонтичних і є поширеним інгредієнтом близькосхідної кухні, а також популярним гарніром. Петрушка віддає перевагу добре дренованому ґрунту, багатому на поживні речовини, і чутлива до низьких температур. Найкраще вона росте під прямими сонячними променями, але може переносити і легку тінь.
Щавель (Rumex acetosa)
Щавель звичайний, також відомий як щавель кучерявий, – це рослина з тьмяно-зеленим листям, схожим на листя шпинату, і фруктовим смаком, що нагадує ревінь або лимон. Щавель звичайний добре росте в холодному кліматі, але для більш спекотного клімату краще підійде щавель кучерявий (Rumex scutatus). Щавель найкраще росте на сонці, але може переносити і півтінь.
Дудник лікарський (Myrrhis odorata)
Дудник лікарський, також відомий як садова мирра, належить до сімейства селерових. У нього листя, схоже на листя папороті, і суцвіття з білими квітками. Дудник лікарський має анісовий аромат і історично використовувався для лікування респіраторних захворювань. Дудник лікарський добре росте в півтіні і віддає перевагу вологому ґрунту.
Естрагон (Artemisia dracunculus)

Естрагон – це листопадна ароматична рослина з сильним лакричним присмаком. Історично його використовували для лікування розладів травлення та нудоти. Він також є важливим компонентом класичного французького соусу беарнез. Естрагон віддає перевагу ранковому сонцю і півтіні в другій половині дня.






